Santa Catalina – 
I wake up just before the alarm goes off. The beach is only about 5 minutes away, so I want to take some sunrise-photos. I get to shoot some pictures of some boats lying on land thanks to low tide. Verena is already having breakfast when I arrive at the hotel.
I get my stuff in the room, pack everything I need for the dive and also grab a bite. Arriving at the dive center we get to know Nick, our guide (Austrian), and Manuela and Adrian (both Swiss) who will all dive with us. This is the first time that I hear this much German on a vacation. Manuela is about to make some AOWD courses with that scuba dive. We do our equipcheck, have a short briefing and get our stuff on the boat. A very long ride later (about 1 hour) we arrive at the first dive site “Iglesias”. Nick reappears from the rear of the boat where he was lying during the whole ride. The water seems pretty murky here. Thanks very a lot of plankton there are certainly a lot of fish here, but due to low visibility we don’t get so see anything “big”. Some whitetip-sharks, some mackerel, boxfish … Somehow I also seem to consume more air than usual.
With just about 700psi we finish the dive and take a break on La Rancheria. The typical paradise island beach pictures in brochures? This is one of them. Not a single person to be seen and really beautiful fine white sand. We rest, have a snack and discuss the next dive (Divespot “Frijoles”) – we have to swim for a bit against the current during the descend here.
But as we dive in, we have already trouble on the way down as we are pulling ourselves on the rope against the current. And that alone is certainly stressful. The flow is stronger than expected. Once at the bottom, we struggle to get to the drift region. After a while, Adrian and Manuela abort the scuba dive. A few minutes later we arrive at least at the drift region, but when I have a look on my finimeter I’m already well into reserve, so we drift in safety stop depth for a bit more than 3min and abort as well. Manuelas regulator seems to have a leak. She barely was able to breathe and had to use the alternate 2nd stage of Adrian. Verena also had some water her regulator mouthpiece. For an AOWD training dive that sure was not funny for Manuela. Air sharing against the flow? I’m not really excited about this scuba dive. Haven’t actually seen anything down there and having to abort just after 25min. While Nick is still joking about Manuela though some “special training” this doesn’t lighten my mood.
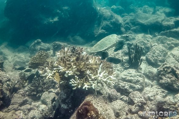
We have a break on Isla Coiba at that one place, you could stay overnight. All in all I rather imagined Coiba as a mangrove island. Rather, this could be the location of a typical Bacardi or Batida commercial. The last dive (Divespot “Mali Mali”) is more relaxed and kinda makes up for the earlier ones. For the first time I see boxfish swim in swarms, pretty unusual. Afterwards we return to Santa Catalina. Ena and I look at each other thinking the same: We won’t stay another night but leave tomorrow. Somehow… maybe it is the wrong time of year… just bad luck, or the combination of equipment failure and the selection of diving spots… It doesn’t feel right. Also 180 PAB (180.00 USD) per person for 3 scuba dives and a long ride is indeed “kinda ooookay”… but we do not want to necessarily spend this again, if the experience is not that great.
At Iguanita, we reserve the shuttle to Boquete. Since Christine only buys supplies for guests of Iguanita, we unfortunately cannot have dinner there. As we go along the road to “la Punta” we see at the end of “divers village” a restaurant which still is open. Chicken & Patacones it is, and a Balboa (Some quite tasty, kinda malty beer, even a little sweet. Comparable to the Cuban Buccanero or Czech Kozel. ). Then we head back to Santa Catalina Inn.


























11 comments
I love the gallery with the moving photos! I am not a big fan of scuba diving, to be honest, but photos definitely make me engage with the post
Beautiful! The marine world and the underwater life is so intriguing to us human. I am yet to scuba dive, and I want to do it at the best possible spots in the world to start with so that the first experience is a lasting and beautiful one. I will keep this one in mind as well.
Try to scuba somewhere easy first after you got your license – Belize is great for easy and rewarding dives, Northwest Cuba aswell or West Lombok in Indonesia
In spite of the experience, you were able to capture amazing photos underwater… As we always say, charge to experience that 661.10 aed :)))
Wishing you more better and exciting adventures in the future.
Such clear water! an excellent read my man, making me very excited for my next dive adventure. Especially the photos of the sharks
Amazing experience it must be ! When i scuba dived in Andaman islands in India i was totally amazed by the colors and by the world that we are not exposed to! I didn’t know about the certification thing back then else I would have gone for it too! I loved the effects you have put in the slideshow. Thanks for sharing.
I had my first dive in Aandaman Islands and I was scared to death prior to the dive. Fortunately, I was quite ok underwater and had great sightings of the diverse marine life. I am not sure I like it enough to apply for certification ! Love your pictures and wish you many more rewarding dives
The underwater world is so fascinating and the thrill of Scuba diving adds to the excitement. Have never personally had this experience yet, but hope to get there someday. In the interim enjoyed reading your experiences.
You’ve got some great shots there, when I went diving in the great barrier reef our pictures didn’t come out so well. I have to say I’m someone who has grown into being more of a sea person although I do prefer jungles and trees haha
Was nice you guys had Mali Mali dive to make up for the previous one. I love the marine world. Yet, a lot to be discovered on the water-world. Beautiful photos!
I’ve only done scuba diving once in the open water and it was not easy because the water keeps getting inside of my mask and in panic, I have forgotten how to clear it. So although I am not an experienced diver, I could imagine the stress that you guys felt given the conditions of your dive. I’m not sure how will I be able to do with strong current because I haven’t experienced that. Having said that, I feel sorry that you didn’t get to enjoy your dive.